highlight_off
Riferimento annuncio 99600 info

Altro Strada merlo, 22, Cerretto Langhe, 82032, 82032 Cerretto Langhe (CN)

414,00
0
€ 12.000
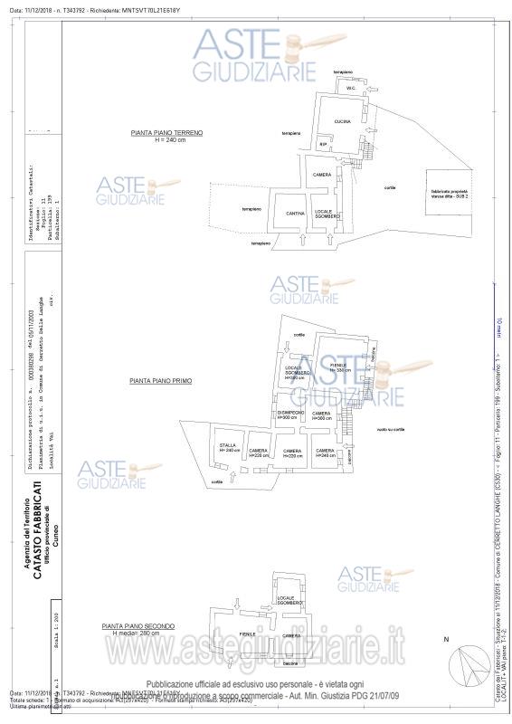
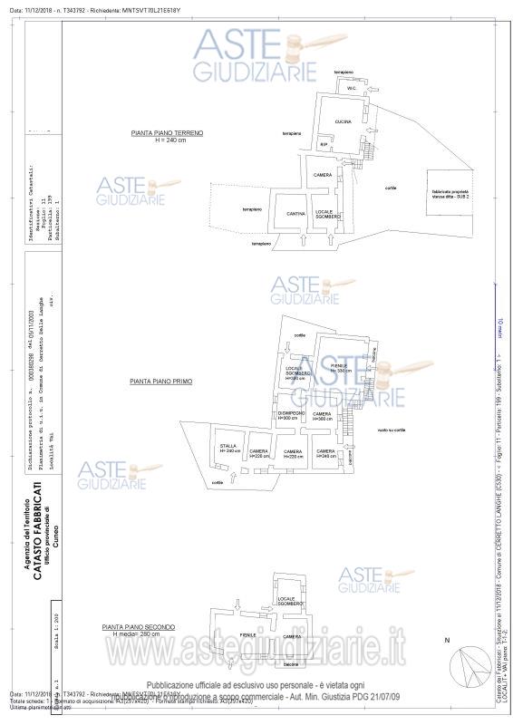
Vendita all'asta Senza incanto, con gara telematica asincrona - LOTTO UNICO: Piena proprietà di compendio immobiliare composto da: fabbricato residenziale, fabbricato ad uso magazzino. Prezzo base € 12.000,00 (offerta minima € 9.000,00). Data inizio operazioni di vendita: 06/05/2026 ore 14:00. Giudice Dott. Pasquale Perfetti. Professionista delegato alla vendita Avv. Simona Nebiolo - Email "simonanebiolo@gmail.com"; Tel. 01411713254. Custode Giudiziario Istituto Vendite Giudiziarie - Email "richiestevisite.asti@ivgpiemonte.it"; Tel. 0114731714-011485338. Rif. Tribunale di Asti - Esecuzione immobiliare post legge 80 n. 26/2015

Superficie 414,00 mq
Vani
Bagni
Piano 0

Tipologia di vendita Giudiziaria
Modalità di vendita Asincrona telematica
Termine presentazione offerte 05/05/2026 ore 12:00
Data e ora inizio gara 06/05/2026 ore 14:00
Codice ID astegiudiziarie.it 4220131
414,00
0
€ 12.000

Ti interessa questa vendita?

north_east

Clicca qui per essere indirizzato alla scheda sul sito di provenienza

Bene di astegiudiziarie.it