highlight_off
Riferimento annuncio 303977 info

Altro tra Via San Vito Martire n. 10-12-12B e Via Maggiolini n. 1, 37053 Cerea (VR)

0
€ 130.000
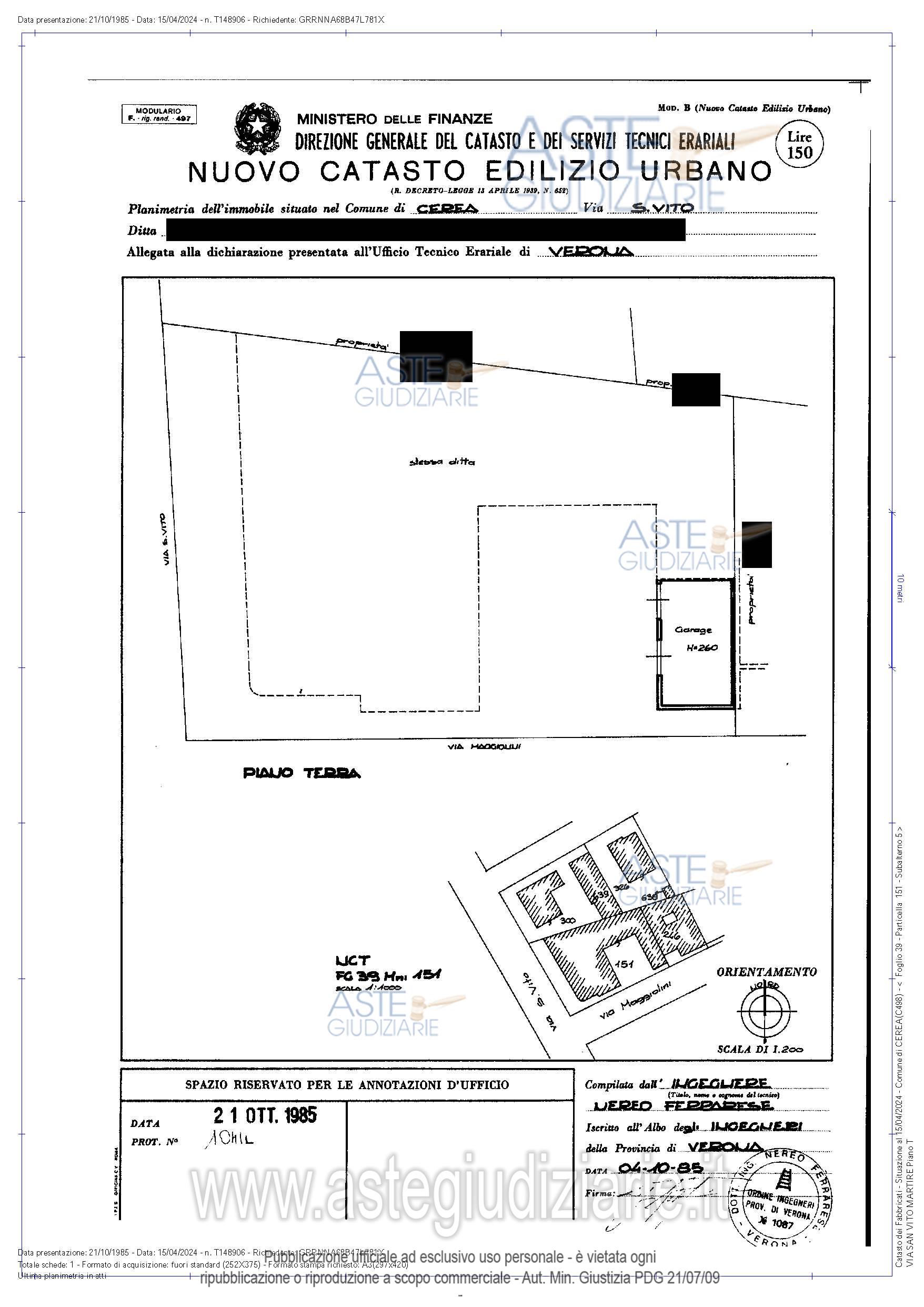
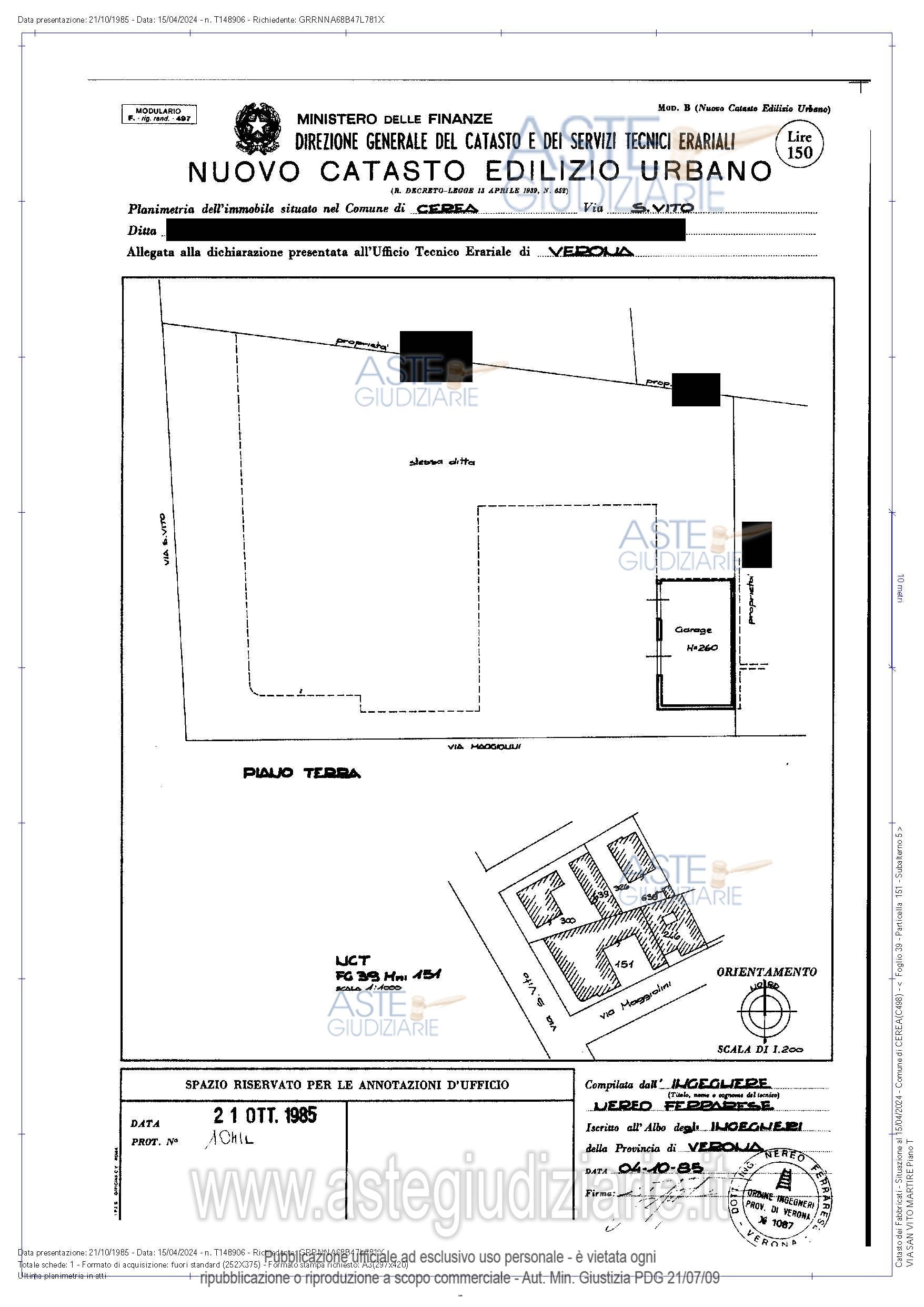
Vendita all'asta Senza incanto, con gara telematica sincrona mista - LOTTO UNICO: LOTTO UNICO - In Comune di Cerea (VR), in angolo tra Via San Vito Martire n. 10-12-12B e Via Maggiolini n. 1, piena proprietà di compendio immobiliare di 3 corpi di fabbrica insistenti su lotto di terreno di 865 mq, consistenti in un appartamento, due negozi, un magazzino e due garages con corte e piccole porzioni di area scoperta. Prezzo base € 130.000,00 (offerta minima € 97.500,00). Data vendita 22/01/2026 ore 14:30. Giudice Dott. Paola Salmaso. Professionista delegato alla vendita Not. Melchiorre Saraceno - Email "notes@notariato.it"; Tel. 0458006661. Custode Giudiziario Avv. Simone Begalli - Email "begalli@avvocatibmz.it"; Tel. 0458011720. Rif. Tribunale di Verona - Espropriazione immobiliare (cartabia) n. 1/2024

Superficie mq
Vani
Bagni
Piano 0

Tipologia di vendita Giudiziaria
Modalità di vendita Sincrona mista
Termine presentazione offerte 01/01/1900 ore 00:00
Data e ora inizio gara 22/01/2026 ore 14:30
Codice ID astegiudiziarie.it 4327021
0
€ 130.000

Ti interessa questa vendita?

north_east

Clicca qui per essere indirizzato alla scheda sul sito di provenienza

Bene di astegiudiziarie.it