highlight_off
Riferimento annuncio 242602 info

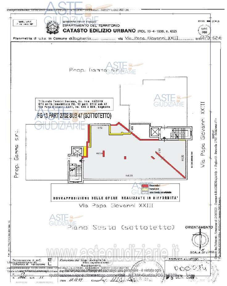
Altro via Papa Giovanni XXIII, 90011 Bagheria (PA)

0
€ 16.073
Vendita in attesa dell'emissione del nuovo bando d'asta. LOTTO 01: Soffitta ubicata a Bagheria (PA) - Via Papa Giovanni XXIII n. 60/D e n. 62/C [fg 13 part 2702 sub 47], interno dx, piano 6;. Ultimo prezzo base € 16.073,43 (offerta minima € 12.055,07). Professionista delegato alla vendita Avv. Livio Fiorani - Email "livio.fiorani@cert.avvocatitermini.it"; Cell. 3384479238; Tel. 0918142692. Custode Giudiziario Avv. Livio Fiorani - Email "livio.fiorani@cert.avvocatitermini.it"; Cell. 3384479238; Tel. 0918142692. Rif. Tribunale di Termini Imerese - Esecuzione immobiliare post legge 80 n. 48/2019

Superficie mq
Vani
Bagni
Piano 0

Tipologia di vendita Giudiziaria
Modalità di vendita Sincrona telematica
Termine presentazione offerte 17/02/2026 ore 17:00
Data e ora inizio gara 18/02/2026 ore 10:00
Codice ID astegiudiziarie.it 4279222
0
€ 16.073

Ti interessa questa vendita?

north_east

Clicca qui per essere indirizzato alla scheda sul sito di provenienza

Bene di astegiudiziarie.it