highlight_off
Riferimento annuncio 153260 info

Altro SP per Santeramo Km 5 Acquaviva

€ 505.910
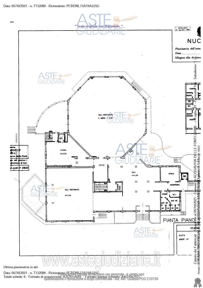
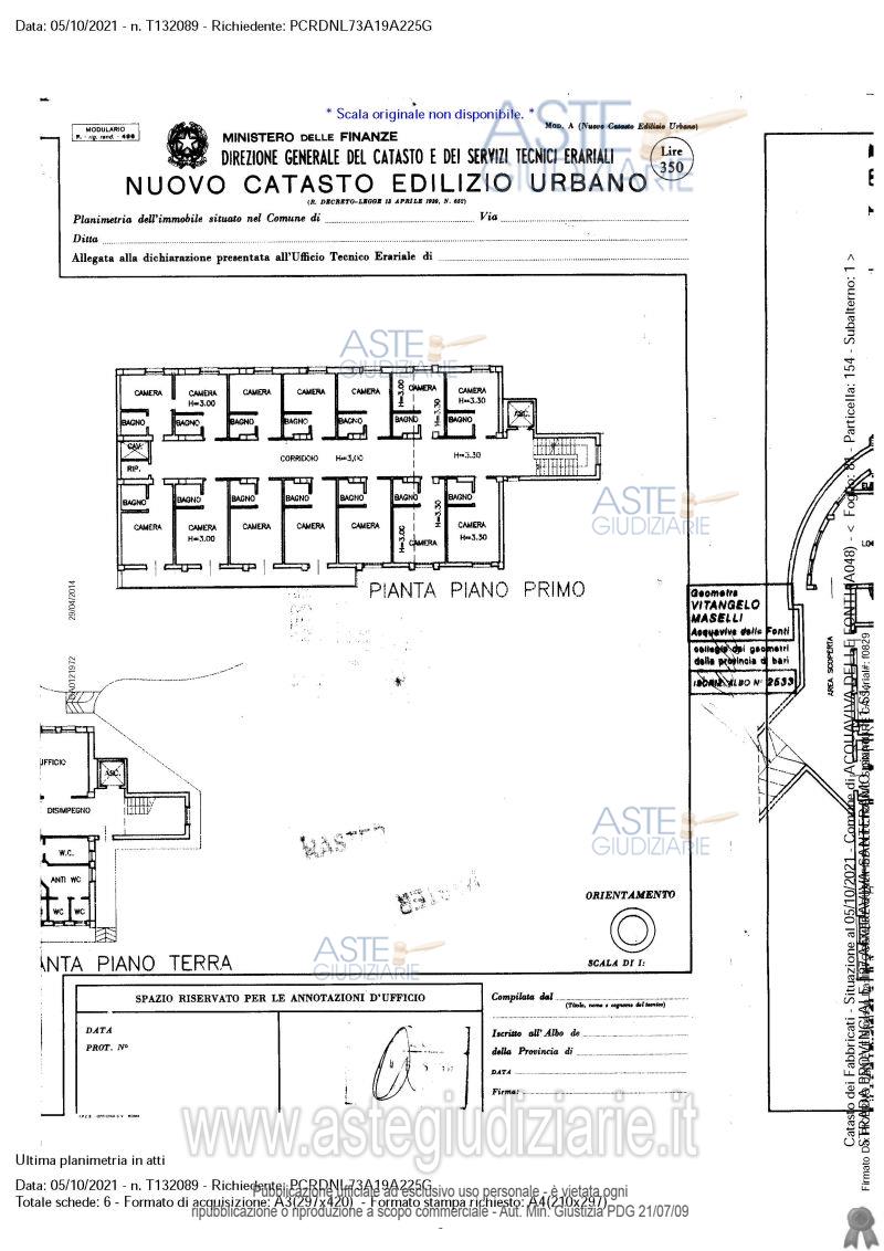
Vendita all'asta Senza incanto, con gara telematica asincrona - LOTTO UNICO: Albergo- Sala ricevimenti, ubicato ad Acquaviva delle Fonti (BA) - SP per Santeramo, Km 5 , piano T-1-.-S1 Il compendio esecutato risulta essere una struttura ricettiva denominata “Alma Resort”, precisamente un resort per eventi ubicato sulle colline del territorio di Acquaviva Delle Fonti, a circa 4 km dal centro urbano ed a ridosso della struttura ospedaliera “Miulli".Il ristorante consta di circa 3.498,75 mq.La struttura ricettiva si compone di un resort composto di 14 stanze . Prezzo base € 505.910,00 (offerta minima € 379.432,50). Data inizio operazioni di vendita: 27/11/2025 ore 09:30. Professionista delegato alla vendita Not. Francesco Campi - Email "fcampi@notariato.it"; Cell. 3405936907; Tel. 0803601106. Custode Giudiziario Not. Francesco Campi - Email "fcampi@notariato.it"; Cell. 3405936907; Tel. 0803601106. Rif. Tribunale di Bari - Esecuzione immobiliare post legge 80 n. 105/2021

Tipologia di vendita Giudiziaria
Modalità di vendita Asincrona telematica
Termine presentazione offerte 01/01/1900 ore 00:00
Data e ora inizio gara 27/11/2025 ore 09:30
Codice ID astegiudiziarie.it 4257631
€ 505.910

Ti interessa questa vendita?

north_east

Clicca qui per essere indirizzato alla scheda sul sito di provenienza

Bene di astegiudiziarie.it