highlight_off
Riferimento annuncio 41131 info

Albergo Via Sa Spendula, 2, 09039 Villacidro (SU)

30,00
560,00
6
0
€ 729.000
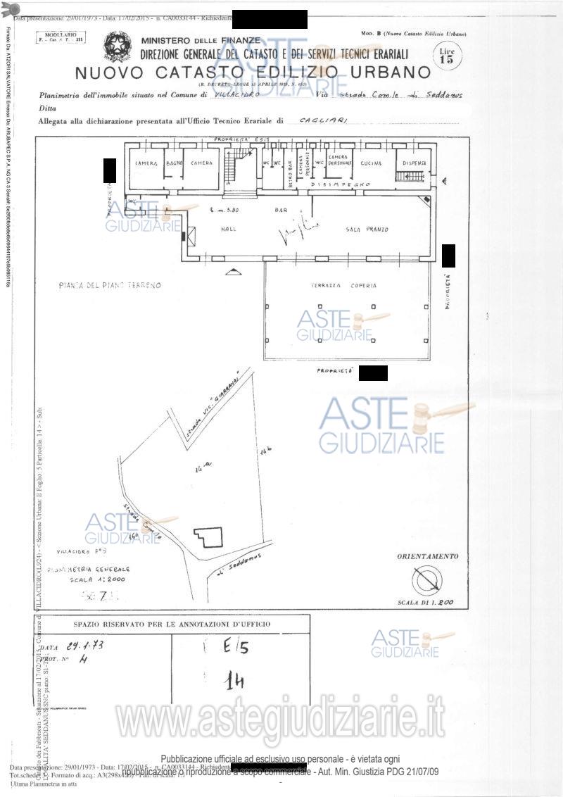
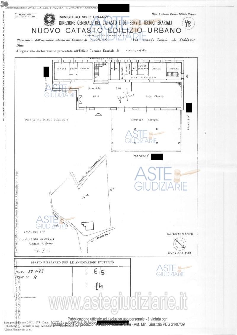
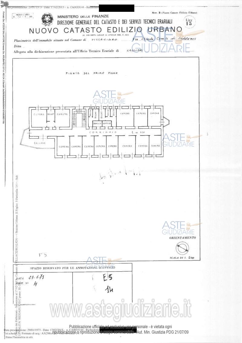
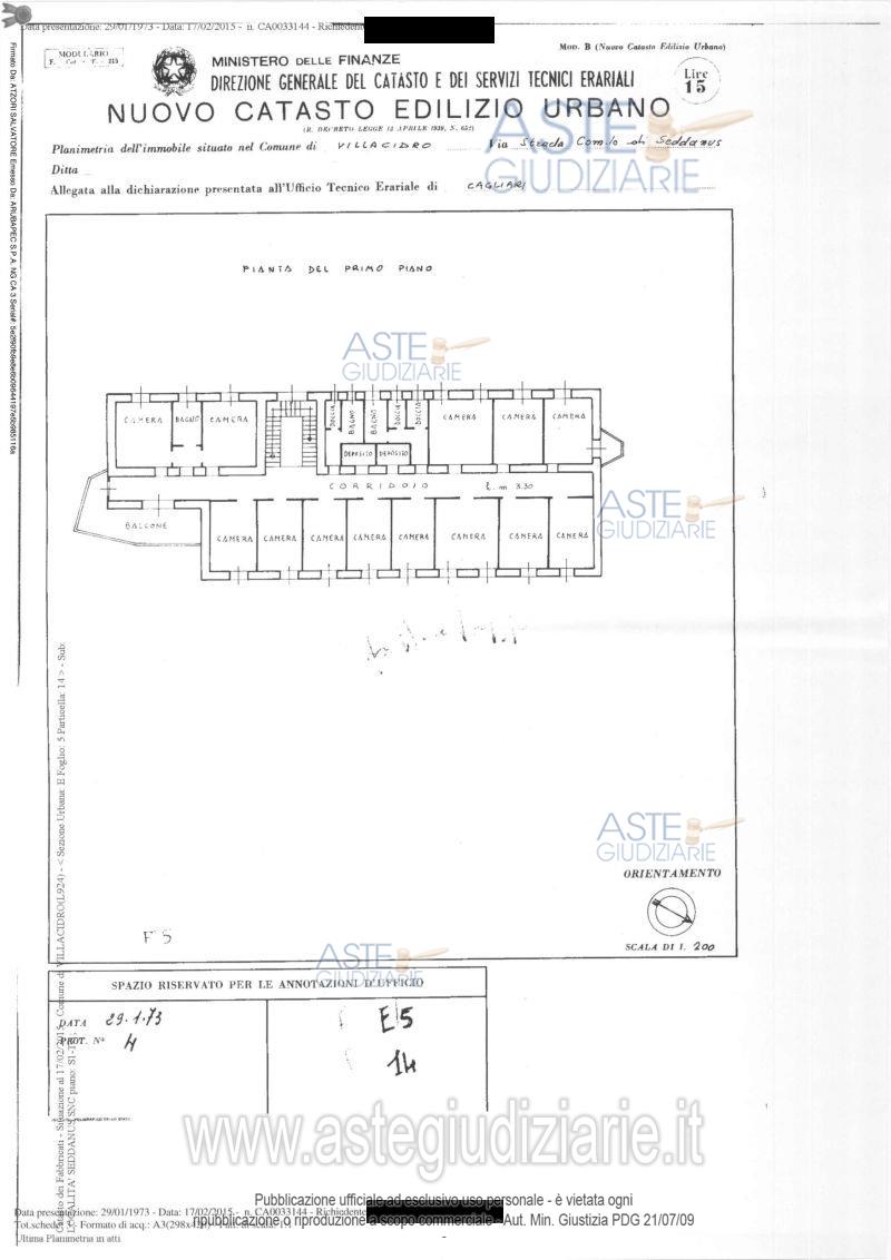
Vendita all'asta Senza incanto - LOTTO UNICO: Fabbricato sito in Comune di Villacidro, Loc. Seddanus, Via Sa Spendula n. 2, adibito ad albergo, censito al Catasto Fabbricati sezione E, al F. 5, Map. 14, con pertinenza del tratto di area destinata a parco della superficie catastale complessi di mq. 17.480, censito in Catasto Terreni al F. 505, Map. 33. Prezzo base € 729.000,00 (offerta minima € 546.800,00). Data vendita 20/01/2026 ore 12:00. Giudice Dott. Valentina Frongia. Professionista delegato alla vendita Dott. Giuseppe Marongiu - Email "studio@studiomarongiu.it"; Tel. 0704560865. Custode Giudiziario Fresi Lino Icilio Felice Ivg Cagliari - Email "ivg.visiteimmobili@tiscali.it"; Tel. 0702299036. Rif. Tribunale di Cagliari - Esecuzione immobiliare post legge 80 n. 785/2012

Superficie 560,00 mq
Vani 30,00
Bagni 6
Piano 0

Tipologia di vendita Giudiziaria
Modalità di vendita Presso il venditore
Termine presentazione offerte 01/01/1900 ore 00:00
Data e ora inizio gara 20/01/2026 ore 12:00
Codice ID astegiudiziarie.it 4169470
30,00
560,00
6
0
€ 729.000

Ti interessa questa vendita?

north_east

Clicca qui per essere indirizzato alla scheda sul sito di provenienza

Bene di astegiudiziarie.it