highlight_off
Riferimento annuncio 325523 info

Albergo Via Alfonso Gatto, Salerno SA, Italia, 84100 Salerno (SA)

11,50
317,00
2
0
€ 2.100.000
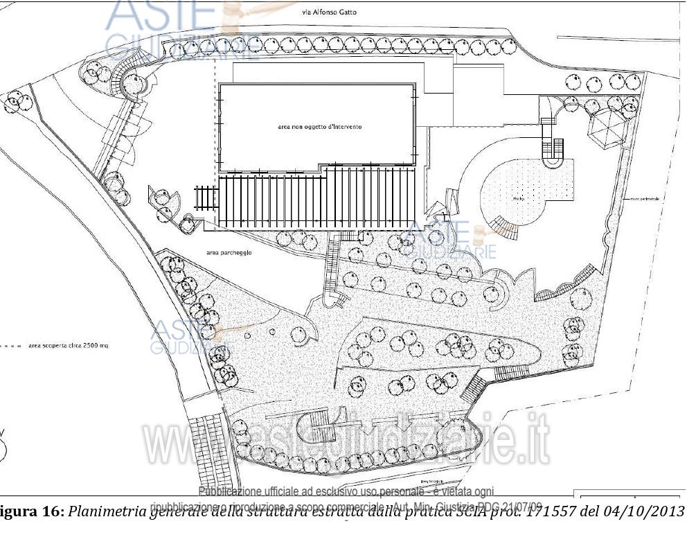
Vendita all'asta Senza incanto, con gara telematica asincrona - LOTTO UNICO: Piena proprietà della struttura turistico ricettiva adibita ad albergo - ristorante, costituita da un fabbricato su tre livelli, con area esterna scoperta (giardino, terrazzi, terrazzamenti, scale, area parcheggio, solarium, ecc.), piscina e locali igienici a servizio del ristorante in piano terra, nonché corpo scala interna all’edificio. Prezzo base € 2.100.000,00 (offerta minima € 1.575.000,00). Data inizio operazioni di vendita: 14/04/2026 ore 16:30. Giudice Enza Faracchio. Professionista delegato alla vendita Avv. Federica Lavorante - Email "f.lavorante@avvocatinocera-pec.it". Custode Giudiziario Avv. Federica Lavorante - Email "federica.lavorante@virgilio.it"; Cell. 3384453372; Tel. 0815175352. Rif. Tribunale di Salerno - Esecuzione immobiliare post legge 80 n. 175/2019

Superficie 317,00 mq
Vani 11,50
Bagni 2
Piano 0

Tipologia di vendita Giudiziaria
Modalità di vendita Asincrona telematica
Termine presentazione offerte 13/04/2026 ore 23:59
Data e ora inizio gara 14/04/2026 ore 16:30
Codice ID astegiudiziarie.it 4344543
11,50
317,00
2
0
€ 2.100.000

Ti interessa questa vendita?

north_east

Clicca qui per essere indirizzato alla scheda sul sito di provenienza

Bene di astegiudiziarie.it