highlight_off
Riferimento annuncio 311203 info

Albergo Via Prestipaolo, 98054 Furnari ME, Italia, 98054 Furnari (ME)

25816,35
0
€ 8.065.488
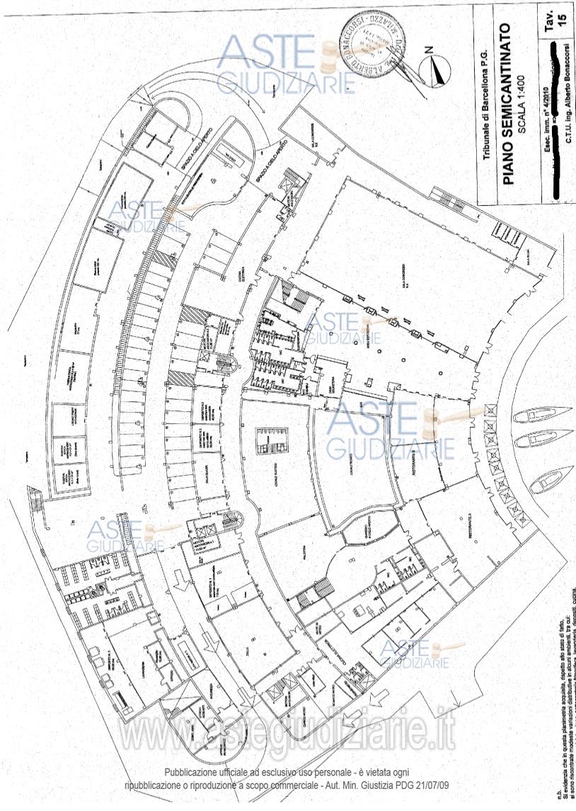
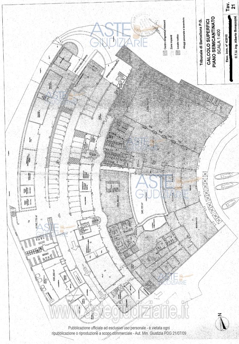
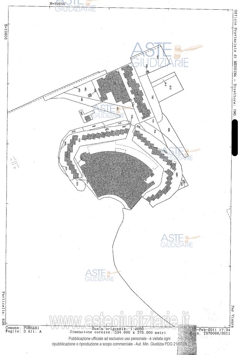
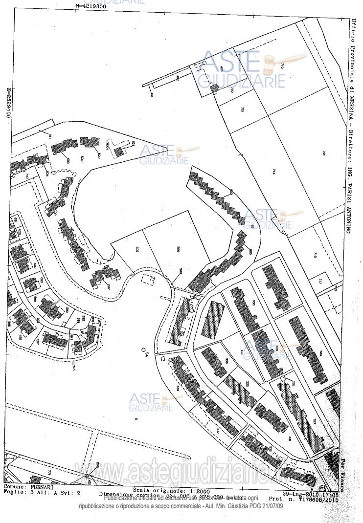
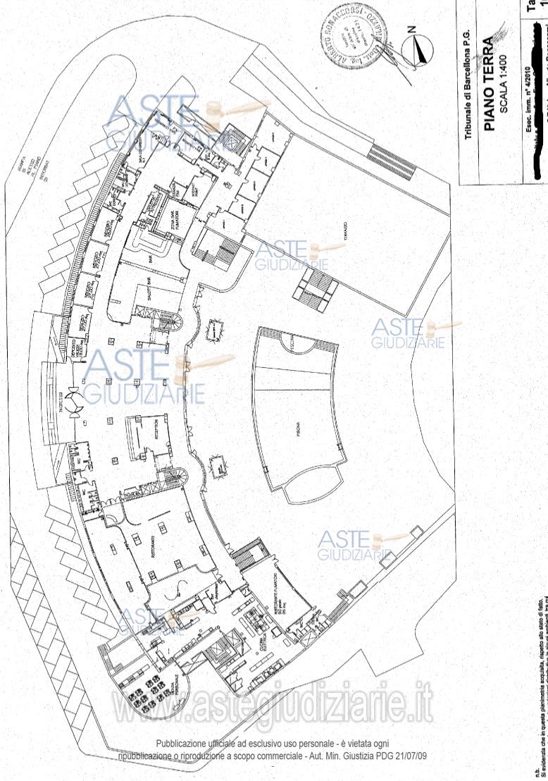
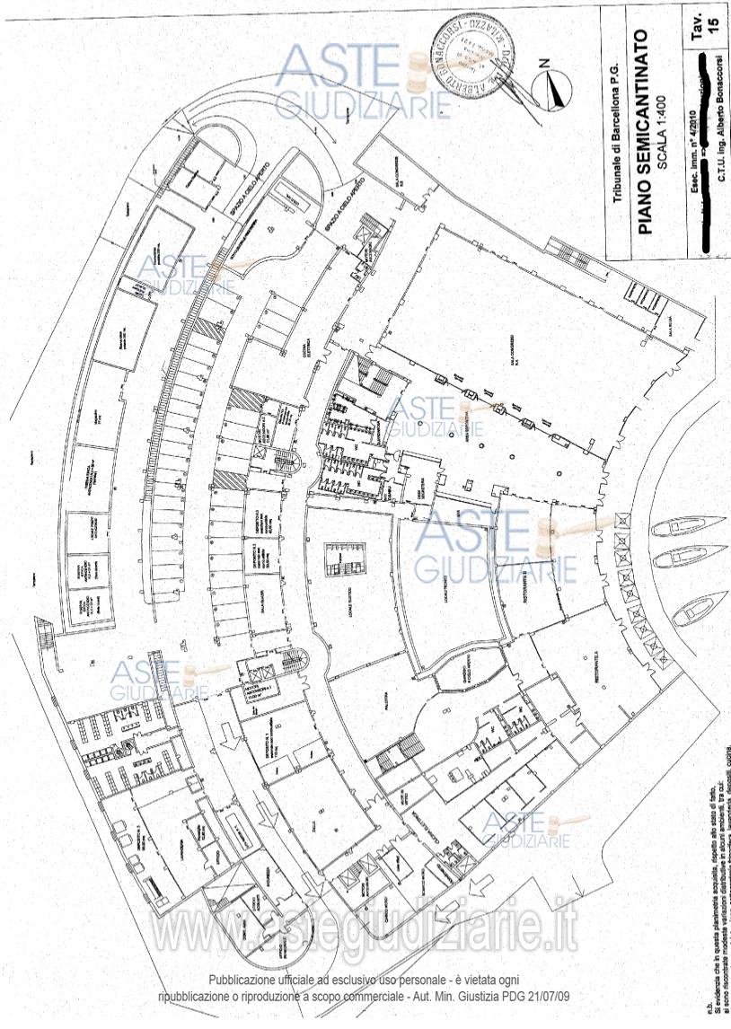
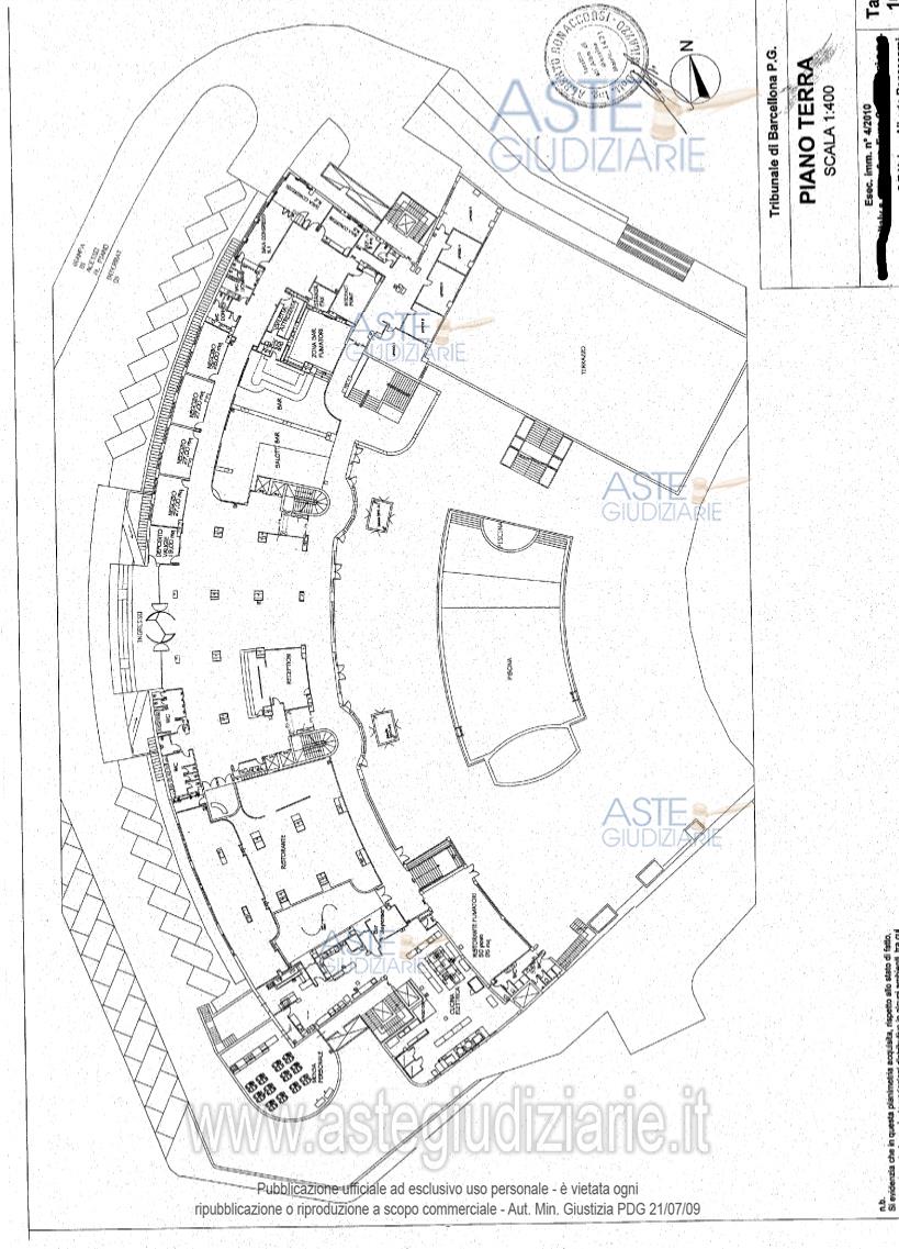
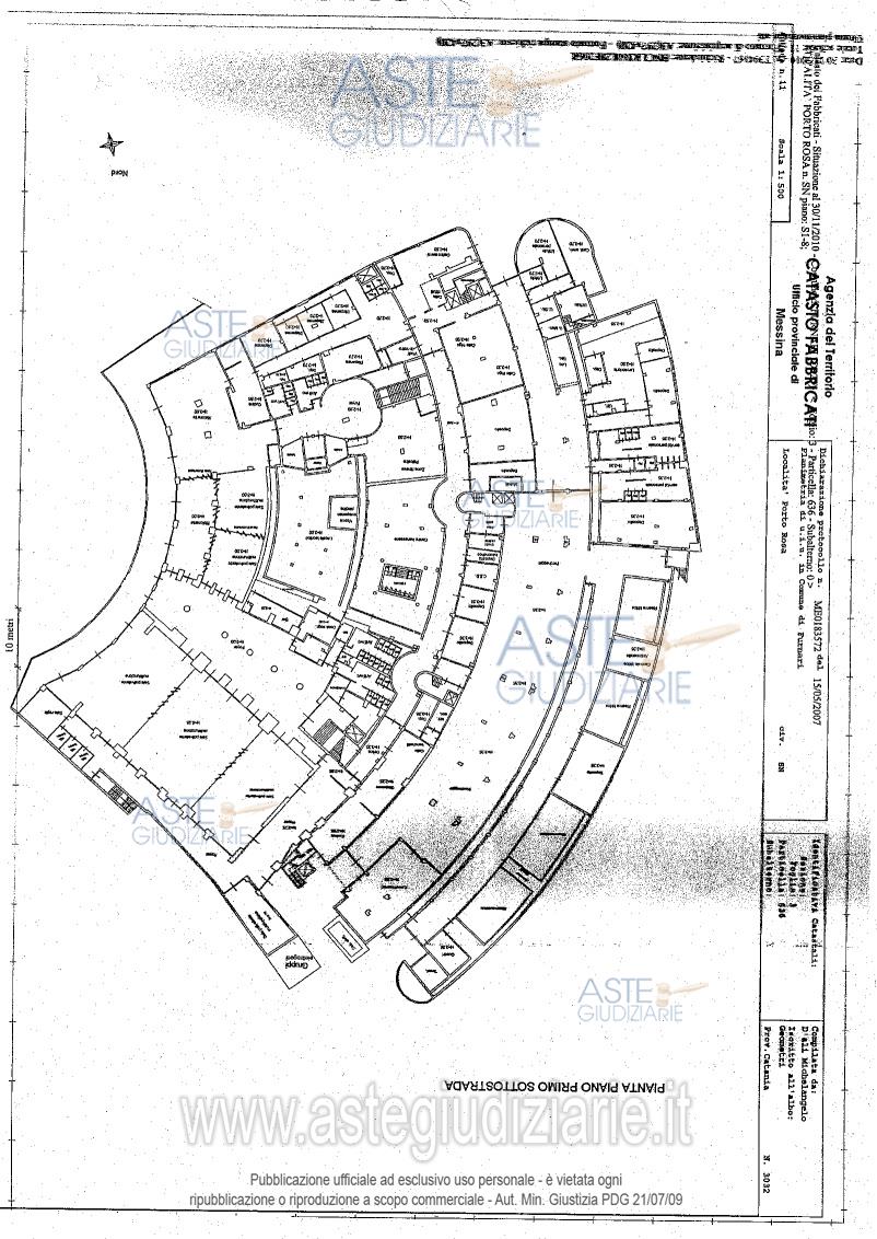
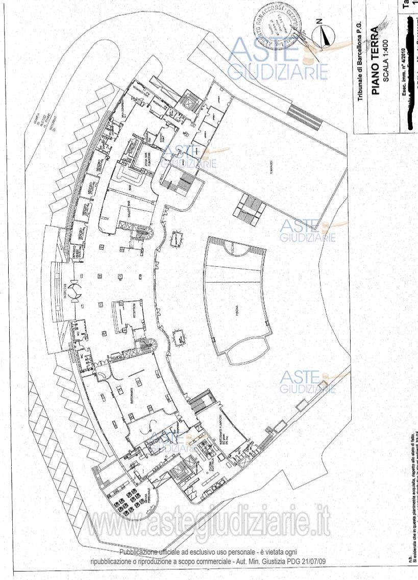
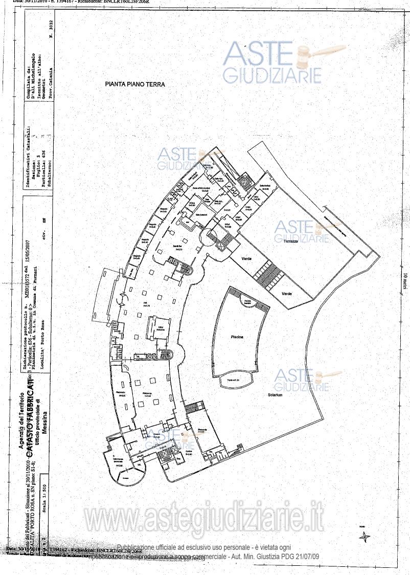
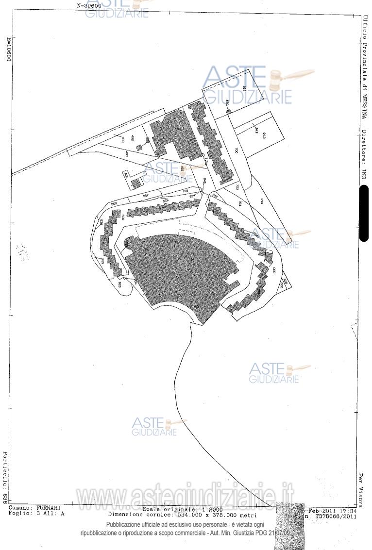
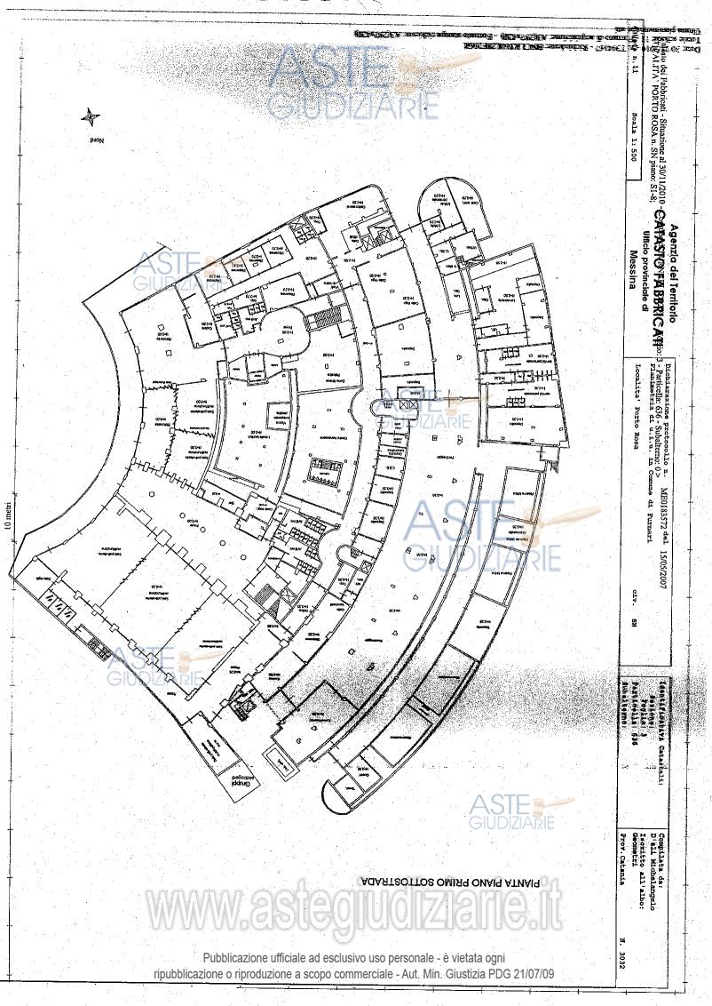
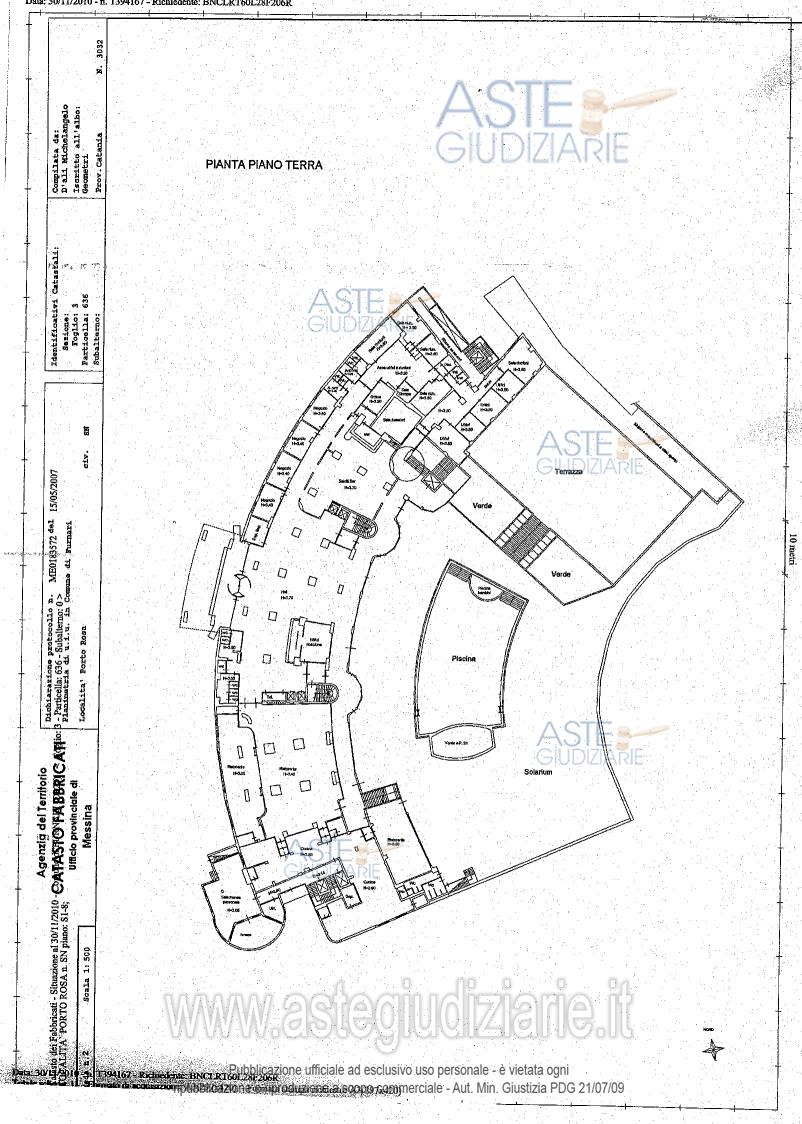
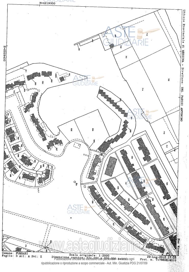
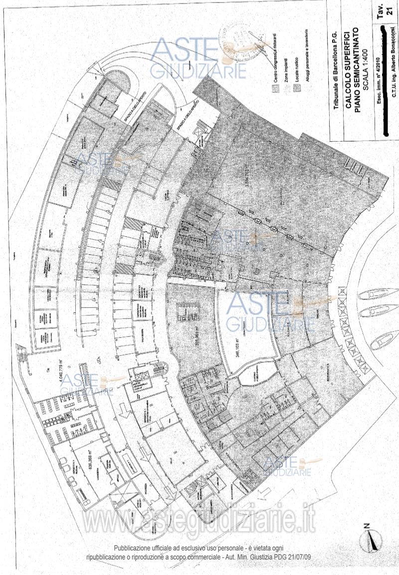
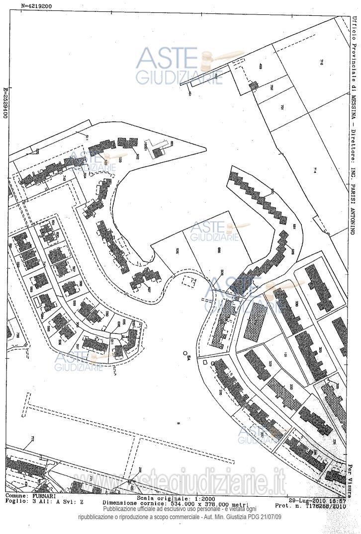
Vendita all'asta Senza incanto, con gara telematica asincrona - LOTTO UNICO: Struttura alberghiera comprensiva dei beni mobili costituenti gli arredi e le attrezzature e due terreni di qualità agrumeto. Prezzo base € 8.065.487,54 (offerta minima € 6.049.115,65). Data inizio operazioni di vendita: 10/03/2026 ore 11:00. Giudice Dott. Alessandro Laurino. Custode Giudiziario Avv. Alberto Vella - Email "albertovella@gmail.com"; Tel. 095381606. Curatore Avv. Alberto Vella - Email "albertovella@gmail.com". Rif. Tribunale di Catania - Fallimentare (nuovo rito) n. 196/2022

Superficie 25816,35 mq
Vani
Bagni
Piano 0

Tipologia di vendita Giudiziaria
Modalità di vendita Asincrona telematica
Termine presentazione offerte 09/03/2026 ore 11:00
Data e ora inizio gara 10/03/2026 ore 11:00
Codice ID astegiudiziarie.it 4332930
25816,35
0
€ 8.065.488

Ti interessa questa vendita?

north_east

Clicca qui per essere indirizzato alla scheda sul sito di provenienza

Bene di astegiudiziarie.it