highlight_off
Riferimento annuncio 250795 info

Albergo Via delle Terme, 51, 25040 Angolo Terme (BS)

0
€ 1.400.700
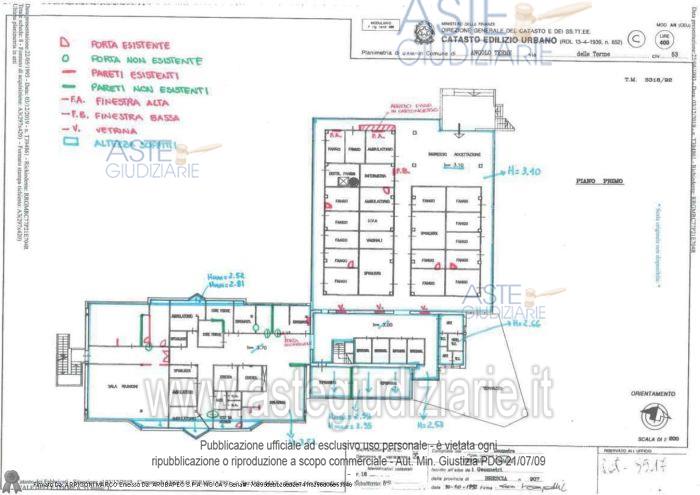
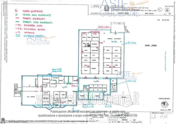
Vendita all'asta Senza incanto, con gara telematica asincrona - LOTTO UNICO: Fabbricato a più piani costituente un hotel a destinazione turistico alberghiera, insistente sul terreno con parcheggio e area di pertinenza, oltre complesso termale con accessori pertinenziali e aree scoperte annesse, composto da sei corpi di fabbrica. Competono le proporzionali quote delle parti comuni. Prezzo base € 1.400.700,41 (offerta minima € 1.050.525,31). Data inizio operazioni di vendita: 28/01/2026 ore 10:00. Professionista delegato alla vendita Not. Daniela Masucci. Custode Giudiziario Dott. Istituto Vendite Giudiziarie Di Brescia Soccov Srl - Email "ivgvisitebs@gmail.com". Rif. Tribunale di Brescia - Esecuzione immobiliare post legge 80 n. 989/2010

Superficie mq
Vani
Bagni
Piano 0

Tipologia di vendita Giudiziaria
Modalità di vendita Asincrona telematica
Termine presentazione offerte 27/01/2026 ore 12:00
Data e ora inizio gara 28/01/2026 ore 10:00
Codice ID astegiudiziarie.it 255041
0
€ 1.400.700

Ti interessa questa vendita?

north_east

Clicca qui per essere indirizzato alla scheda sul sito di provenienza

Bene di astegiudiziarie.it